[Marseille] Stade Orange Vélodrome (67.354)

Informations, photos et vidéos des stades de Ligue 1
Accueil de l'Euro 2016
papiom
Full Member
Full Member
Messages : 192
Inscription : 08 août 2013, 17:23

Re: [Marseille] Stade Vélodrome (60,013>67,500)

Message non lu par papiom »

Mercivelodrome2014 a écrit :Ok ^^
Ces poteaux vont permettre de poser le plancher supérieur, vers la côté 33m.
C'est ça qui nécessite au sud les moulons d'échafaudages.
En fait c'est comme sur le bloc du centre mais derrière il y a bcp de vide.6
MAIS par le jeu des crémaillères, les gradins descendront de qq mètres et laisseront une hauteur dite "normale" avec le niveau 3.
Confiance dans 15 j ce sera monté et on verra tout bien mieux.
au final c'est toujours possible qu'ils laissent le second niveau "vide" avec juste les piliers et qu'il soit réservé aux PMR. un peu comme à ganay de chaque coté du PC sécurité.
dans tout les cas ça sera beaucoup mieux que ce trou béant de 6m de haut prévu dans les plans initiaux.
Avatar de l’utilisateur
dorian84
Hero Member
Hero Member
Messages : 559
Inscription : 11 juil. 2012, 20:57

Re: [Marseille] Stade Vélodrome (60,013>67,500)

Message non lu par dorian84 »

Piou04 a écrit :
dorian84 a écrit :[Image

pourquoi ne feraient ils pas comme ça?
Sachant que le poids serai réparti sur le toit déjà en place, soutenu par les méga poteaux et les poteaux blanc des angles
Parce que chaque colis est posé à l'unité et reliez entre eux après les poses .. Il faudra une grue hors norme pour soulevé un tel poids ... Déjà qu'ils font allusion a posé les colis sans arceaux imagine le poids de la façon que tu le présente .. chaque colis c'est environ 200 tonnes à plus de 60 m de hauteur voir pas loin de 80 pour JB :chant2:[/quote]

Non mais Piou, continu à parler béton et stop les conneries quand tu sais pas

La charpente fait la même taille des 2 côtés du stade, tout est symétrique, ce sera donc comme pour ganay, 61m de haut pour la charpente JB (alors que le béton culminera aux alentours de 52m contre 43 pour ganay)[/quote]


Et tes colis tu les posent sur quoi , ?
Tu oublie de compté la hauteur de la jupe au dessus de la tribune plus l'inclinaison du ou des colis .. Donc pour une bonne rotation de la grue elle sera bien entre 70 et 80 m de hauteur ... Y avait cas voir la hauteur que prenait les bigmama pour avoir ensuite plus d'allonge de longueur de flèche ...J'ai jamais vu un seul colis passé à moins de 20 m au dessus de la structure métallique ..

[/quote]

belle pirouette pour tenter de te rattraper mais les colis auront besoin de monter à la même hauteur que ceux de ganay, donc oui il passeront un bon 10m plus haut que la jupe, mais, comme ganay quoi
Avatar de l’utilisateur
Duncan
Hero Member
Hero Member
Messages : 981
Inscription : 11 juil. 2012, 11:23

Re: [Marseille] Stade Vélodrome (60,013>67,500)

Message non lu par Duncan »

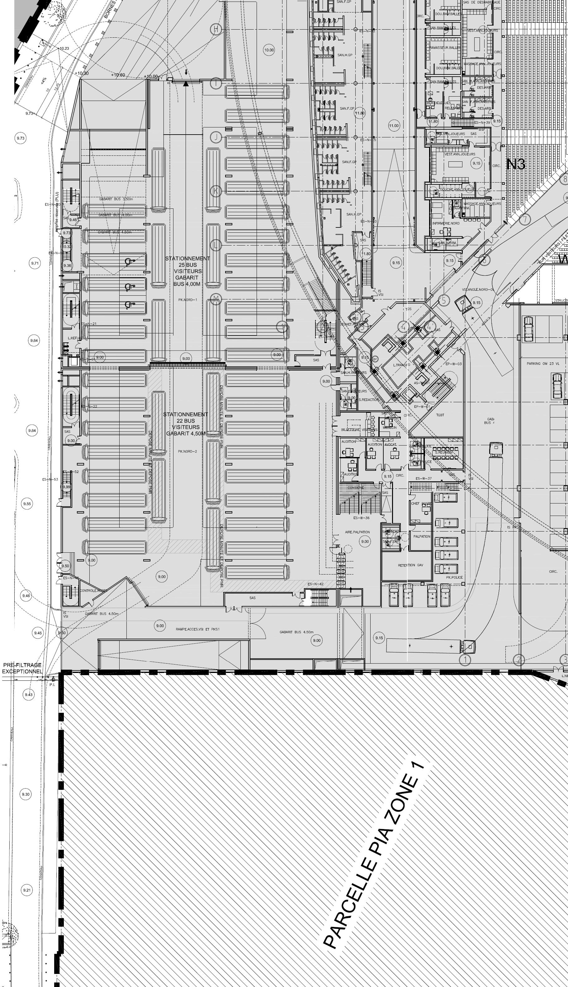
Pour être précis sur "la piscine", il y aura un stationnement prévu pour 25 bus gabarit 4M et 22 bus gabarit 4,5M.

Cerise sur le gâteau en voila le plan de masse. ;)
Corrigez-moi si je me goure et que les bus sont en surface :hum:
Pièces jointes
parking_bus.jpg
papiom
Full Member
Full Member
Messages : 192
Inscription : 08 août 2013, 17:23

Re: [Marseille] Stade Vélodrome (60,013>67,500)

Message non lu par papiom »

merci duncan, tu en aurais pas d'autre de plans détaillés comme celui ci?

non tu te trompes pas, la cote c'est 9.0 c'est plus bas que l'allée ray grassi (9,20 à 10,20m environ). c'est pas du souterrain à proprement parler ( y'a le métro qui passe pas loin de là) mais c'est sous le parvis.

sinon tout à fait à droite on distingue l'extrémité du parking véhicules légers réservé aux joueurs et staff de l'OM et des visiteurs qui sera situé sous le parvis jean bouin.
Avatar de l’utilisateur
Duncan
Hero Member
Hero Member
Messages : 981
Inscription : 11 juil. 2012, 11:23

Re: [Marseille] Stade Vélodrome (60,013>67,500)

Message non lu par Duncan »

papiom a écrit :merci duncan, tu en aurais pas d'autre de plans détaillés comme celui ci?

non tu te trompes pas, la cote c'est 9.0 c'est plus bas que l'allée ray grassi (9,20 à 10,20m environ). c'est pas du souterrain à proprement parler ( y'a le métro qui passe pas loin de là) mais c'est sous le parvis.

sinon tout à fait à droite on distingue l'extrémité du parking véhicules légers réservé aux joueurs et staff de l'OM et des visiteurs qui sera situé sous le parvis jean bouin.
Merci Papiom, pour les plans, c'est un peu délicat, disons que je n'ai pas envie de faire l'inauguration des emplacements prévus à doite de la piscine pour les auditions et les avocats ;D ;D
papiom
Full Member
Full Member
Messages : 192
Inscription : 08 août 2013, 17:23

Re: [Marseille] Stade Vélodrome (60,013>67,500)

Message non lu par papiom »

Duncan a écrit : Merci Papiom, pour les plans, c'est un peu délicat, disons que je n'ai pas envie de faire l'inauguration des emplacements prévus à doite de la piscine pour les auditions et les avocats ;D ;D
c'est marrant j'aurais dit qu'ils seront positionnés juste au dessus de la piscine valbuena justement :D
Avatar de l’utilisateur
Piou04
Hero Member
Hero Member
Messages : 1029
Inscription : 05 avr. 2013, 07:15

Re: [Marseille] Stade Vélodrome (60,013>67,500)

Message non lu par Piou04 »

dorian84 a écrit :
Piou04 a écrit :
dorian84 a écrit :[Image

pourquoi ne feraient ils pas comme ça?
Sachant que le poids serai réparti sur le toit déjà en place, soutenu par les méga poteaux et les poteaux blanc des angles
Parce que chaque colis est posé à l'unité et reliez entre eux après les poses .. Il faudra une grue hors norme pour soulevé un tel poids ... Déjà qu'ils font allusion a posé les colis sans arceaux imagine le poids de la façon que tu le présente .. chaque colis c'est environ 200 tonnes à plus de 60 m de hauteur voir pas loin de 80 pour JB :chant2:
Non mais Piou, continu à parler béton et stop les conneries quand tu sais pas

La charpente fait la même taille des 2 côtés du stade, tout est symétrique, ce sera donc comme pour ganay, 61m de haut pour la charpente JB (alors que le béton culminera aux alentours de 52m contre 43 pour ganay)[/quote]


Et tes colis tu les posent sur quoi , ?
Tu oublie de compté la hauteur de la jupe au dessus de la tribune plus l'inclinaison du ou des colis .. Donc pour une bonne rotation de la grue elle sera bien entre 70 et 80 m de hauteur ... Y avait cas voir la hauteur que prenait les bigmama pour avoir ensuite plus d'allonge de longueur de flèche ...J'ai jamais vu un seul colis passé à moins de 20 m au dessus de la structure métallique ..

[/quote]

belle pirouette pour tenter de te rattraper mais les colis auront besoin de monter à la même hauteur que ceux de ganay, donc oui il passeront un bon 10m plus haut que la jupe, mais, comme ganay quoi[/quote]

Nuance la big mama sera plus loin à mon avis puisqu'il y aura une partie du parvis ... et les voiles de murs proche du parvis en forme circulaire .. D'ailleurs si j'ai bien compris les futurs colis seront posés sans les arceaux preuve de l'éloignement plsu conséquent a mon avis perso :hum:
Pourquoi ne pas être déçu quand on te montre que tu va montais dans une Rolls Royce et qu'au final tu vois que tu va t'asseoir dans la Renault Laguna du Bof ... la déception du Vélodrome c'est la même chose
pierre13
Jr. Member
Jr. Member
Messages : 63
Inscription : 29 déc. 2011, 18:33

Re: [Marseille] Stade Vélodrome (60,013>67,500)

Message non lu par pierre13 »

Duncan a écrit :Pour être précis sur "la piscine", il y aura un stationnement prévu pour 25 bus gabarit 4M et 22 bus gabarit 4,5M.

Cerise sur le gâteau en voila le plan de masse. ;)
Corrigez-moi si je me goure et que les bus sont en surface :hum:
oui le niveaux des bus se trouve a se niveau
et le niveau des véhicule léger dessous
Pièces jointes
parking_bus.jpg
parking_bus.jpg (273.63 Kio) Consulté 2886 fois
papiom
Full Member
Full Member
Messages : 192
Inscription : 08 août 2013, 17:23

Re: [Marseille] Stade Vélodrome (60,013>67,500)

Message non lu par papiom »

pierre13 a écrit :
Duncan a écrit :Pour être précis sur "la piscine", il y aura un stationnement prévu pour 25 bus gabarit 4M et 22 bus gabarit 4,5M.

Cerise sur le gâteau en voila le plan de masse. ;)
Corrigez-moi si je me goure et que les bus sont en surface :hum:
oui le niveaux des bus se trouve a se niveau
et le niveau des véhicule léger dessous
honnêtement je pense pas. ils auraient creusé beaucoup plus bas et y'a le métro qui passe dans ce coin là. en plus on dirait qu'il y a un rideau de fer ou un portail à la base de la rampe.
ça ressemble plutôt à une rampe pour rejoindre le futur centre commercial voir le parvis même pour les secours ou les forces de l'ordre.
Dernière modification par papiom le 20 sept. 2013, 18:47, modifié 4 fois.
vinc31
Sr. Member
Sr. Member
Messages : 398
Inscription : 30 août 2013, 15:59

Re: [Marseille] Stade Vélodrome (60,013>67,500)

Message non lu par vinc31 »

Bonsoir,
Tout d'abord merci pour toutes les photos du match om-arsenal.
Ce qui est du chantier ce soir ca bétonne en ce moment car c'est la fin de semaine.
Avatar de l’utilisateur
marseillevivi13
Hero Member
Hero Member
Messages : 974
Inscription : 08 nov. 2012, 15:32
Localisation : AIX EN PVCE
Contact :

Re: [Marseille] Stade Vélodrome (60,013>67,500)

Message non lu par marseillevivi13 »

pierre13 a écrit :
Duncan a écrit :Pour être précis sur "la piscine", il y aura un stationnement prévu pour 25 bus gabarit 4M et 22 bus gabarit 4,5M.

Cerise sur le gâteau en voila le plan de masse. ;)
Corrigez-moi si je me goure et que les bus sont en surface :hum:
oui le niveaux des bus se trouve a se niveau
et le niveau des véhicule léger dessous
C'est simple.. Faire une dalle sur un sol inondable c'est interdit. Les lois l'interdise, personne ne passe au dessus. Dans le cas ou il aurait du faire un parking sous l'emplacement des bus, ils aurait creuser bien plus bas. Ils aurait couler le pilotis plus bas et montez au fur et a mesure.
Compte rendu de la visite du 11 juillet 2013 page 2420 !!!!

Photo de la dernière visite de chantier du 11-07-13 http://www.flickr.com/photos/stade-velo ... 605799684/
Avatar de l’utilisateur
loumi84
Jr. Member
Jr. Member
Messages : 84
Inscription : 13 mai 2013, 20:30

Re: [Marseille] Stade Vélodrome (60,013>67,500)

Message non lu par loumi84 »

marseillevivi13 a écrit :Bonjour....

J'avait vu ça mercredi au stade... En voila la confirmation, ils ont commencé la démolition des entrées de la tribune basse de JB. Merci a yan massilia pour ces photo coté sud :super:
La pièce jointe « 20130918_192012.jpg » n’est plus disponible
Salut,
j'ai celle-là sous le coude, si ça peut "éclairer"...
DSC05186.JPG
Moi j'ai pas l'oeil de lynx, je vous laisse décortiquer :-[
Et puis, à y être, une vue de la zone centrale avec un stock de dalles alvéolaires et de préfas :
DSC05187.JPG
Bonne soirée et bon week !

PS : attention, ne recommencez pas avec vos altitudes, ça va à nouveau partir en sucette :D
L'avenir n'est pas écrit, il est entre nos mains (Albert Jacquard)
Avatar de l’utilisateur
dorian84
Hero Member
Hero Member
Messages : 559
Inscription : 11 juil. 2012, 20:57

Re: [Marseille] Stade Vélodrome (60,013>67,500)

Message non lu par dorian84 »

Piou04 a écrit :
dorian84 a écrit : belle pirouette pour tenter de te rattraper mais les colis auront besoin de monter à la même hauteur que ceux de ganay, donc oui il passeront un bon 10m plus haut que la jupe, mais, comme ganay quoi
Nuance la big mama sera plus loin à mon avis puisqu'il y aura une partie du parvis ... et les voiles de murs proche du parvis en forme circulaire .. D'ailleurs si j'ai bien compris les futurs colis seront posés sans les arceaux preuve de l'éloignement plsu conséquent a mon avis perso :hum:
Le parvis sud était déjà présent lors de la mise en place de la charpente côté ganay, ça n'as pas empêché BMy de mettre en place le premier colis côté VS... :chant2:

De plus, de ce que j'ai compris, la charpente de JB est plus légère (de 30%), et le parvis JB ne sera fait qu’après la mise en place de la toiture, donc aucune raison pour ne pas mettre les arceaux sur les colis... :chant2:
Avatar de l’utilisateur
Duncan
Hero Member
Hero Member
Messages : 981
Inscription : 11 juil. 2012, 11:23

Re: [Marseille] Stade Vélodrome (60,013>67,500)

Message non lu par Duncan »

marseillevivi13 a écrit :
pierre13 a écrit :
Duncan a écrit :Pour être précis sur "la piscine", il y aura un stationnement prévu pour 25 bus gabarit 4M et 22 bus gabarit 4,5M.

Cerise sur le gâteau en voila le plan de masse. ;)
Corrigez-moi si je me goure et que les bus sont en surface :hum:
oui le niveaux des bus se trouve a se niveau
et le niveau des véhicule léger dessous
C'est simple.. Faire une dalle sur un sol inondable c'est interdit. Les lois l'interdise, personne ne passe au dessus. Dans le cas ou il aurait du faire un parking sous l'emplacement des bus, ils aurait creuser bien plus bas. Ils aurait couler le pilotis plus bas et montez au fur et a mesure.
Sur le plan, il est indiqué :

Stationnement 25 bus visiteurs gabarit 4,00M PK NORD -1

Stationnement 22 bus visiteurs gabarit 4,50M PK NORD -2

Ce qui suppose 2 niveaux sur le parking nord, j'attends de voir si ils ne vont pas quand même faire une dalle au niveau -2
Avatar de l’utilisateur
Piou04
Hero Member
Hero Member
Messages : 1029
Inscription : 05 avr. 2013, 07:15

Re: [Marseille] Stade Vélodrome (60,013>67,500)

Message non lu par Piou04 »

marseillevivi13 a écrit :
pierre13 a écrit :
Duncan a écrit :Pour être précis sur "la piscine", il y aura un stationnement prévu pour 25 bus gabarit 4M et 22 bus gabarit 4,5M.

Cerise sur le gâteau en voila le plan de masse. ;)
Corrigez-moi si je me goure et que les bus sont en surface :hum:
oui le niveaux des bus se trouve a se niveau
et le niveau des véhicule léger dessous
C'est simple.. Faire une dalle sur un sol inondable c'est interdit. Les lois l'interdise, personne ne passe au dessus. Dans le cas ou il aurait du faire un parking sous l'emplacement des bus, ils aurait creuser bien plus bas. Ils aurait couler le pilotis plus bas et montez au fur et a mesure.

Il y a aussi le fait que les matériaux dans les sols sont pas compatibles avec une construction ,comme on a pu le voir sur les photos d'Olivier bien trop sableux ou matériaux gorgé d'eau ..Donc forcément instable pour un futur ouvrage tout béton ... C'est pour ceci qu'il a divers pieux et des remblais étaler sur du Bidim qui servira a étancher les fines sableuses ou boueuses ... Ou ayant de la vase ....
Par ailleurs la rampe est amenée a disparaître pour le moment elle sert a faire descendre les camions ou engins .. Puis au fur et à mesure du terrassement elle sera déplacer ailleurs .. Jusqu'au point d'accès sans doute du VN ..Il restera ensuite la partie ou ils ont construit le local technique jusqu'à l'allée Ray Grassi à terrassait...par la suite ça sera la partie du parvis JB et la partie restante entre le VS et JB sans bien sur terrassé la zone ou se trouve le métro ... Suivant ou se situera la grue G6 il y aura une nouvelle rampe pour continué à acheminer les remblais ..Voila en gros la poursuite du terrassement ....Je dirai en gros a ce stade qu'il évacue entre 2500 et 3000 m3 par jour c'est a peu prés le rendement d'une 944 avec des camions même si elle peu sortir jusqu'à 4000 m3 par jour avec des tombereaux ...
Pourquoi ne pas être déçu quand on te montre que tu va montais dans une Rolls Royce et qu'au final tu vois que tu va t'asseoir dans la Renault Laguna du Bof ... la déception du Vélodrome c'est la même chose
Répondre

Revenir à « Ligue 1 »